
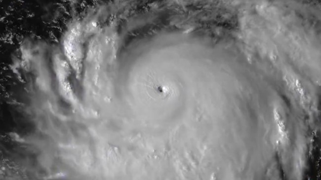
CSU/CIRA, NOAA
Hurricane Erin, the first hurricane of 2025 in the Atlantic, sprung up over the weekend and quickly raced to Category 5 status with maximum sustained winds of 160 mile per hour on Saturday. It has since declined to a a Category 4 storm with maximum sustained wind speeds of around 130 mile per hour, but, according to the National Hurricane Center, is supposed to become even larger in the coming days.
Satellite images from the Cooperative Institute for Research in the Atmosphere at Colorado State University and the National Oceanic and Atmospheric Administration (NOAA) reveal the massive amount of lightning that occurred as Hurricane Erin became a Category 5 storm. According to CNN Weather, Hurricane Erin is one of the fastest intensifying storms in the history of the Atlantic Ocean.
Stunning imagery of lightning within Hurricane Erin.
Erin remains a powerful, major hurricane. pic.twitter.com/0f4KSfNuo3
— CIRA (@CIRA_CSU) August 16, 2025
Despite the dangerous winds, hurricane hunters from the NOAA still flew directly into Hurricane Erin. “As #HurricaneErin became a category-5 storm, we were there. Last pass of this flight, but we’re not done yet — our mission to protect the American people continues, as always!” they wrote alongside a stunning video from inside the hurricane on Instagram.
Numerous warnings have been issued
While Hurricane Erin is not expected to make landfall in the United States, officials in North Carolina have issued local states of emergency and asked residents and visitors to evacuate some areas. Fox Weather reports officials are “warning of life-threatening surf and rip currents at beaches up and down the East Coast from Florida in the Southeast through the mid-Atlantic, Northeast, and New England.” The Bahamas, Bermuda, East Coast and Atlantic Canada are also expected to face dangerous ocean conditions.
“The latest forecast does indeed indicate that the largest significant wave height could reach values in excess of 50 feet with an associated most likely largest wave of more than 100 feet,” Jean Bidlot, an ocean and earth system modeling scientist at the European Centre for Medium-Range Weather Forecasts, told Newsweek.
This #FullDiskFriday, NOAA's #GOESEast satellite has a great view of #HurricaneErin over the Atlantic. #GOES19
See more of our corner of the world from @NOAA satellites here: https://t.co/tpyBVI6oDW pic.twitter.com/FHQLXyQDll
— NOAA Satellites (@NOAASatellites) August 15, 2025